A neighborhood plan contact team (NPCT) is a group of individuals designated to be the stewards or advocates of their adopted neighborhood plan. They work with city staff towards the implementation of the plan recommendations, review and initiate plan amendments, serve as community points of contact, and work on behalf of other neighborhood stakeholders.
The North Loop Neighborhood Plan Contact Team (NLPCT) is the NPCT for the North Loop Neighborhood Planning Area. The NLPCT is therefore responsible for working on the implementation of the North Loop Neighborhood Plan. The NLNA is a distinct and separate entity from the NLPCT, but its leadership has a long history of participation in the NLPCT.
Current Officers:
President: Katharina Michalak
Vice President: Steve Wise
Secretary: Alan Hecht
The NLPCT is Bigger Than Just North Loop!
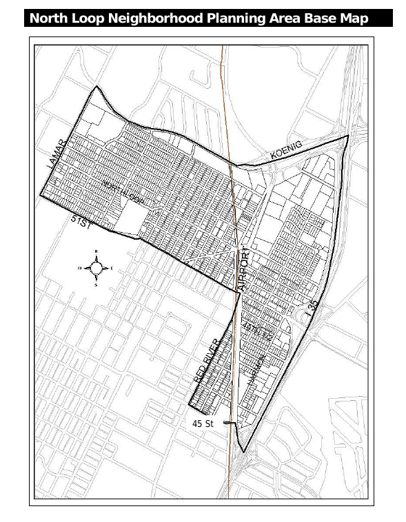
Despite its name, the North Loop Neighborhood Planning Area is bigger than the North Loop neighborhood! It includes the Ridgetop neighborhood (east of Airport to IH-35) and the so-called “Red River Sliver” (running east of Red River Street all the way down to 45th). Membership in the NLPCT is open to anyone living within its boundaries. A map of the North Loop Neighborhood Planning Area is below:

Join the NLPCT
The NLPCT is designed to be a venue for all neighborhood stakeholders to provide input and guidance on the development of our Planning Area. Neighborhood stakeholders are not limited to residential property owners. Ideally, the NLPCT will be comprised of property owners, business owners, and renters in the neighborhood. Please consider joining to make sure your voice is heard in the planning process.
The NLPCT strives to meet on the regular meeting dates set by our Bylaws: The second Wednesday of the months of February, May, August, and November at 7:00pm. Special meetings may also be called from time to time, and all efforts will be made to publicize these meetings to the widest extent possible.
NLPCT Bylaws
Section 1 – DEFINITION
A. The neighborhood plan contact team (NPCT) means the individuals designated to implement an adopted neighborhood plan. The neighborhood plan contact team is a separate body apart from any existing or future neighborhood associations.
B. This organization shall be known as the North Loop Neighborhood Plan Contact Team (NLPCT).
Section 2 – ROLES AND RESPONSIBILITIES
A. The role of the NLPCT shall be to review and make recommendations on all proposed amendments to the adopted North Loop Neighborhood Plan and to support implementation of the plan.
B. When appropriate the NLPCT may decide to initiate a plan amendment.
C. When appropriate the NLPCT may give written approval to allow a plan amendment application for an individual property within the planning area to be filed out of cycle.
D. The members of the NLPCT serve as community points of contact on matters related to plan implementation and other City of Austin planning initiatives.
E. It is also the responsibility of the NLPCT to work on behalf of all stakeholders in the neighborhood planning area.
Section 3 – BOUNDARIES
A. North: Koenig Lane
South: 51st Street / 45th Street
East: IH-35
West: Lamar Boulevard / Red River Street
Section 4 – MEMBERSHIP OF THE NLPCT
A. Membership of the NLPCT shall to the greatest extent practicable include at least one representative from each of the following groups within the neighborhood planning area:
- Property owners
- Residential renters
- Business owners
- Neighborhood organization members owning or renting property within the neighborhood plan area.
B. The NLPCT draws a distinction between “participants,” “members,” and “Active Voting Members.” The NLPCT is an inclusive organization that encourages discussion participation from all stakeholders in the community, but Active Voting Membership is restricted to current members as defined in Section 6.
C. No member shall purport to represent the NLPCT unless authorized to do so by the Contact Team Chair.
D. Each member of the NLPCT shall be provided a copy of the adopted NLPCT by-laws.
Section 5 – REMOVAL OF MEMBERS FROM THE NLPCT
A. Any NLPCT member who no longer meets the membership criteria of Section 4A shall be removed from the NLPCT.
B. A member may be excluded from future participation in the NLPCT for repeated disruptive, abusive, or offensive behavior after two warnings (in writing) have been administered by the Chair, and after a unanimous decision by all members eligible for decision making (as defined in Section 6).
C. Otherwise, membership is always honored and open to all stakeholders in the community. Membership never lapses, but the ability to participate in the decision-making process must be earned and maintained as per criteria stipulated in Section 6.
D. The Secretary will make a notation in the minutes of each meeting of the names of the individuals whose membership will lapse at the next scheduled meeting. The Secretary shall communicate this information to the individuals whose membership is at risk of lapsing within 30 days.
Section 6 – DECISION MAKING
A. Decision Making Method. Decisions of the NLPCT will be made by a vote, according to the following criteria:
- Votes will be held at pre-announced NLPCT meetings after at least one week of discussion;
- Majority of Active Voting Members rule;
- Any member who is present at a meeting and eligible to vote as described under Subsection 6.B, Eligibility, gets to vote; and
- One vote per eligible member regardless of the number of properties orbusinesses owned in the planning area.
B. Eligibility. The ability to participate in decision-making shall be granted to any member who:
- Meets the membership criteria as outlined in Section 4;
- Has attended a total of 2 NLPCT meetings (Members shall be able to participate in decision-making at the beginning of the 3rd meeting);
- Has attended at least one meeting within the past year; and
- Is at least 18 years of age.
C. Quorum. A quorum of eligible members must be present in order to make a decision at an NLPCT meeting. A quorum is established when at least 50% of eligible decision-making members, as defined under Subsection 6.B., are present.
D. The names of eligible members participating in decision making shall be noted in the minutes.
Section 7 – MEETINGS
A. Meetings of the NLPCT shall be announced in advance (Section 8.A) and open to the public. Community stakeholders are invited to participate in the discussion of the matters at hand, but only eligible members of the NPCT, as defined under Subsection 6.B, are allowed to participate in decision-making.
B. Meetings shall be held quarterly on the second Wednesday of the months of February, May, August, and November at 7:00.
C. Unless otherwise noticed all meetings will be held at The Commune.
D. Meetings can be held on an as-needed basis when an application to amend the North Loop Neighborhood Plan been submitted to the City of Austin.
E. Special meetings of the NLPCT may be called by an elected officer with the consent of at least one additional member.
F. The NLPCT shall meet at least (once per year) to elect officers.
G. Approved minutes of meetings and sign-in sheets, as a record of attendance, must be kept for all meetings of the NLPCT and shall be forwarded to the Planning and Zoning Department upon request.
H. Meeting discussions will be conducted in a conversational format with special regard for a dialogue that is respectful and considerate of all members in attendance.
I. Weapons are forbidden at NLPCT meetings, and all meetings shall be considered a “gun free zone.”
Section 8 – MEETING NOTIFICATION
A. At a minimum, meeting notification will be publicized through:
- Direct notification of all Contact Team members (including voting and non-voting) via e-mail, phone, listserve, or Contact Team website;
- The meeting schedule (Section 7.B) shall be described in the Community Registry entry for the Contact Team; and
- Meeting notification shall be provided to City staff for dissemination to the general public through a centralized Contact Team website, or other means.
B. All meetings will also be publicized in the neighborhood using whatever reasonable means are available, for example: flyers, signs, newsletters, and/or neighborhood listserves.
C. Notices of regular meetings shall be distributed not less than 7 days before the meeting date. Notices of specially called meetings must be distributed not less than 7 days before the meeting date.
D. The meeting notice will include a meeting agenda.
E. Failure to receive a meeting notice does not invalidate the meeting. However, the provisions of this section must be complied with in good faith.
Section 9 – OFFICERS AND DUTIES
A. The officers of the NLPCT shall be, at a minimum: Chair, Vice-Chair, and Secretary.
B. Duties of the officers are as follows:
- The Chair shall be responsible for the operation of the NLPCT and its officers pursuant to these bylaws. This shall include conducting meetings, representing the team at official functions, appointing subcommittees, and generally overseeing the business of the NLPCT. The Chair shall have the primary responsibility for coordinating with the City of Austin planners on Neighborhood Plan related issues.
- The Vice-Chair shall assist the Chair in preparing meeting agendas and conducting meetings and shall assume all duties of the Chair when required.
- The Secretary shall maintain all written records as required in Section 5C of these by-laws. The Secretary shall produce all written communications as directed by the Chair or the NLPCT membership.
- The Secretary shall submit annually to the City of Austin Planning and Zoning Department a list of the current officers and members eligible to vote and the contact information.
- The Secretary shall annually submit to the City of Austin Planning and Zoning Department bylaws consistent with the standardized template addressing roles and responsibilities, boundaries, membership, decision making, meetings, meeting notification, elections and duties of officers, finances, conflicts of interest and amendments to the bylaws.
Section 10 – ELECTION AND TERM OF OFFICERS
A. Officers will be elected by the NLPCT using the decision making process described under Section 6. All candidates must be eligible members of NLPCT as defined under Subsection 6.B.
B. Candidates must be listed in the agenda of the meeting at which the vote will occur.
C. Officer terms shall be for 1 year, not to exceed 3 consecutive terms.
D. The Secretary will notify the Planning and Zoning Department in writing of the names of the newly elected officers, their contact information, and the date they are due to take office.
Section 11 – REMOVAL AND VACANCIES OF OFFICERS
A. Any elected officer may be recommended for removal from office for not fulfilling their duties as per Section 9. Removal shall be considered by the NLPCT and shall require (a two-thirds vote) of members eligible to vote and present at a meeting of the NLPCT, providing that a resolution proposing the consideration of the removal has been adopted at a preceding meeting and that notice of the vote for removal has been included in the call to the meeting at which the vote shall take place.
B. Should vacancies occur outside the normal election process, candidates for the unfilled term shall be nominated from the floor and elected at the next scheduled meeting following the vacancy. The person elected to the vacated office will serve for the remainder of the term.
Section 12 – EXECUTIVE COMMITTEE
A. The executive committee shall be composed of the officers of the NLPCT.
B. If there are any standing committees as part of the NLPCT, the Chair of those committees will be a member of the executive committee.
C. The executive committee shall be responsible for the management of the affairs of the NLPCT. The duties shall include updating the annual membership list, holding NLPCT meetings, conducting elections as called for in the by-laws, and representing the NLPCT in communications with the City of Austin. It shall also act for the NLPCT in matters specifically delegated to it. It may act for the NLPCT between regular meetings on any matter determined urgent. Any such action shall be reported at the next meeting of the NLPCT and none of its actions shall conflict with actions taken or polices formulated by the NLPCT.
Section 13 – COMMITTEES
A. The NLPCT Chair may appoint project-based or standing committees to help conduct the business of the NLPCT.
B. Committees shall report to the NLPCT and these reports shall be entered into the minutes or meeting summaries.
C. Committees can be standing or ad-hoc in nature.
Section 14 – FINANCES
A. The NLPCT may not collect or charge dues of its membership.
B. The NLPCT may only accept in-kind donations that aid in the prescribed roles and responsibilities of the NLPCT as defined in Section 2.
C. In-kind donations that create a conflict of interest (see Section 15) are not permitted.
Section 15 – CONFLICT OF INTEREST
A. If a member of the NLPCT, has an interest in a development that requires a plan amendment, the member must follow these rules:
- If a member has a substantial interest (see below) in a project, the member cannot participate in any decision concerning the project, including the decision of the NLPCT to recommend an application for a plan amendment or the decision to support or not support the project.
- If a member has a substantial interest in a proposed project, the member must disclose this interest at the time a plan amendment application is discussed and at the time the recommendation letter for the project is submitted to the Director of the Planning and Zoning Department.
- A member with a substantial interest in a project may participate in the discussion regarding the proposed amendment. However, participating in the decision regarding that change is not allowed.
Substantial interest means any of the following:
- A person owns at least a part of or is invested in the property, or the business developing the property.
- A person has worked for someone involved in the project over the past year.
- A person has a business that would directly benefit from the project.
- A person serves on the board of directors, corporate officer, or any other board overseeing the project.
- A person owes money to anyone involved in the project.
Section 16 – AMENDMENTS
A. These bylaws may be amended by a (two-thirds majority vote) of those present at a NLPCT meeting, providing that a resolution proposing the amendment has been adopted at a preceding regular meeting and that notice of the proposed amendment has been given in the call for the meeting at which the amendment shall be voted upon.
Section 17 – EFFECTIVE DATE
A. These bylaws of the North Loop neighborhood plan contact team shall become effective on May 2, 2018.
